惠州仲恺高新区国有建设用地使用权
网上挂牌转让公告
惠仲土挂(转)告[2022]001号
根据《招标拍卖挂牌出让国有建设用地使用权规定》(国土资源部令第39号)和《广东省土地使用权交易市场管理规定》(广东省人民政府令第79号)的规定,经仲恺高新区国土资源分局批准,惠州仲恺高新区潼侨镇人民政府(以下简称“潼侨镇政府”)及惠州仲恺高新区潼侨镇红岗社区移民股份经济合作社(以下简称“红岗合作社”)决定以网上挂牌方式公开转让下列一宗征地留用地。现将有关事项公告如下:
一、网上挂牌转让地块基本情况及规划指标要求(见附表)
二、挂牌起始价及增价幅度
该宗地为划拨用地转让,由受让方依法依规补缴土地出让价款。补缴价款起始价为人民币9363万元,每次报价加价幅度为人民币200万元的整数倍。
三、时间安排
(一)公告时间:2022年11月6日至2022年11月28日。
(二)网上挂牌竞买时间:2022年11月28日9时至2022年12月12日10时。
(三)竞买保证金到账截止时间为:2022年12月12日9时。
四、竞买资格及要求
中华人民共和国境内外的法人、自然人和其他组织(除法律法规另有规定外)具备本条规定条件的,均可申请参加竞买。申请人可以单独申请,也可以联合申请,竞买申请人必须同时具备下列条件:
(一)缴交竞买保证金4681万元人民币;
(二)拖欠地价款、闲置土地、囤地炒地的企业及其控股股东不得参与竞买。
五、需要说明的事项
(一)该宗地原为潼侨镇政府及红岗合作社的征地留用地。潼侨镇政府和红岗合作社以上述征地留用地权益作为出资,缴交地价及开发建设所有投资由土地受让方(即:竞得人)负责。竞得人应返还村集体的物业分配主要内容如下:
物业分配,该宗地所建物业中须返还给潼侨镇政府住宅面积4139.25㎡,返还物业面积共4139.25㎡,停车位43个;返还给红岗合作社住宅面积6211.30㎡、商业面积2661.98㎡,返还物业面积共8873.28㎡,停车位62个;返还的物业不动产权证书上登记面积与合同约定面积相差不得超过3%。产权登记面积与合同约定面积发生差异在3%以内,产权登记面积大于合同约定面积时,由潼侨镇政府或红岗合作社按照备案价乘以超出的面积向竞得人支付差价; 产权登记面积小于合同约定面积时,由竞得人按照备案价乘以缺少的面积向潼侨镇政府或红岗合作社支付差价。产权登记面积大于合同约定面积的3%的部分,由双方按照备案价协商购买;
(二)竞得人应当在签订《成交确认书》之日起60日内,支付两笔履约保证金:(1)按照地块土地挂牌交易总金额10%及潼侨镇政府拥有的地块面积占该地块总面积的比例确定需支付的缴交履约保证金,履约保证金汇入潼侨镇政府指定的银行专用账户内;(2)缴交合作开发履约保证金人民币3000000元整,汇入红岗移民队指定的银行专用账户内(户名:仲恺高新区潼侨镇红岗社区移民股份经济合作社,开户行:惠州农村商业银行股份有限公司侨场支行,账号:80020000004551829)。以上履约保证金是为保障合作开发建设合同能够全面、顺利地履行以及双方合同权益能够如约得到实现;
(三)其它具体合作事项及要求按留用地开发的《留用地合作开发建设合同书》(以下简称“《合作合同》”)执行;
(四)竞得人须按照《规划设计条件告知书》(案卷编号:ZK2020TJ0008)要求配建幼儿园,建成后无偿移交给仲恺高新区宣教文卫办;由仲恺高新区宣教文卫办负责提供幼儿园及托儿所建设标准、审定建设方案,并与竞得人签订幼儿园配建及监管协议;
(五)竞得人须于签订《成交确认书》之日起10个工作日内与潼侨镇政府和红岗合作社签订《合作合同》及《国有建设用地使用权转让合同》(以下简称“《转让合同》”),并与仲恺高新区国土资源分局签订《国有建设用地使用权出让合同》(以下简称“《出让合同》”);
(六)竞得人逾期不签订《合作合同》及《转让合同》的,终止供地,定金不予退还;
(七)竞得人除缴交成交地价款外,还需按规定缴交契税等有关税费;
(八)土地使用权转、受让方需按规定缴交税费;
(九)宗地按现状转让。
六、竞买保证金
(一)该宗地竞买保证金为人民币4681万元;
(二)申请人应当在网上挂牌转让竞买保证金到账截止时间前登录惠州市公共资源交易中心土地与矿业网上挂牌交易系统(以下简称“网上挂牌交易系统”,网址:https://www.hzgtjy.com/)获取竞买保证金支付账号;
(三)竞买保证金到账时间以网上挂牌交易系统确认并发出《保证金到账通知书》为准。
七、竞买申请
本宗国有建设用地使用权网上挂牌转让只接受网上竞买申请,即通过网上挂牌交易系统进行,不接受电话、邮寄、书面、电子邮件及口头竞买。凡符合竞买资格要求并办理数字证书、按要求足额交纳竞买保证金的申请人,方可参加网上挂牌交易活动。
本宗国有建设用地使用权网上挂牌转让实行竞买资格后置审查。竞买申请人交纳足额竞买保证金即获得竞买报价权限。
八、竞买人电子报价、电子限时竞价
竞买人须详细阅读本宗地网上挂牌转让公告、竞买须知及网上挂牌交易系统操作指南,熟练操作网上挂牌交易系统,按竞买规则进行电子报价及电子限时竞价。
九、确定成交候选人
本宗国有建设用地使用权网上挂牌转让为无底价挂牌采取价高者得方式转让并确定成交候选人。
十、资格审查
成交候选人应在网上挂牌交易系统确定成交候选人之日起5个工作日内将竞买申请纸质材料提交至我镇,由我镇对竞买资格进行审查。我镇将于2022年12月19日前确定符合竞买资格的成交候选人为竞得人。
成交候选人资格审查须提交下列材料:
(一)《竞买申请书》(两份,加盖公章);
(二)《竞价结果通知书》(两份,加盖公章);
(三)《竞买保证金到账通知书》(两份,加盖公章);
(四)竞买保证金转账凭证复印件(两份,加盖公章);
(五)申请竞买人有效的《营业执照》复印件(两份,加盖公章);
(六)法定代表人身份证复印件(两份,加盖公章);
(七)授权他人代理的授权委托书及代理人身份证复印件(两份,核对原件)。
十一、签订成交确认书、支付成交价款
竞得人应在接到竞得人确定通知之日起2个工作日内与潼侨镇政府、红岗合作社和惠州市公共资源交易中心仲恺分中心签订《成交确认书》;成交价款于《出让合同》签订之日起30日内一次性付清。付清成交价款及有关税费后,竞得人可申请办理建设用地审批及土地登记发证手续。
十二、竞买保证金退还或转付成交价款
未成功竞得的竞买人所交竞买保证金,在5个工作日内予以退还;若违法违规竞买的,按有关规定处罚后予以退还。
竞得人签订《成交确认书》后,缴交的保证金中按成交价的20%转作定金;竞得人签订《出让合同》后,定金转作土地出让价款。竞得人逾期或拒绝签订《出让合同》,定金不予退还;不按《出让合同》约定缴交地价款的,收回土地并按规定处罚。
十三、违规责任
成交候选人(或竞得人)有下列行为之一的,取消候选人资格(或竞得资格),竞价结果无效,竞买保证金不予退还,造成损失的,成交候选人(或竞得人)还应依法承担赔偿责任:
(一)不符合竞买资格条件的;
(二)提供虚假文件材料,隐瞒重要事实的;
(三)采取行贿、恶意串通等非法手段竞得的;
(四)无正当理由逾期或拒绝签订成交确认书的。
十四、其他需要公告的事项
(一)本宗地网上挂牌转让的详细资料和具体要求,见网上挂牌交易系统。申请人可在网上挂牌交易系统下载挂牌转让公告、须知及相关交易文件。
(二)有意竞买者可以自行到地块现场踏勘(可在网上挂牌交易系统查阅用地红线图)。
(三)竞买申请一经受理确认后,即视为竞买人对网上挂牌转让公告、须知、相关交易文件及地块现状无异议并全部接受,并对有关承诺承担法律责任。
(四)地块动工竣工时间及地块交付时间
《出让合同》签订之日交付土地;动工时间为土地交付之日后1年内,竣工时间为土地交付之日后3年内,返还物业交付时间按《合作合同》要求执行。
(五)该宗地交易全程适用《惠州市政务服务数据管理局 惠州市公共资源交易中心公共资源电子交易规则》(惠市政数〔2022〕3号)。
十五、联系方式:
转让方:惠州仲恺高新区潼侨镇人民政府、惠州仲恺高新区潼侨镇红岗社区移民股份经济合作社
联系地址:潼侨镇人民政府、仲恺高新区潼侨镇红岗社区移民新村9号
联系人:温先生、何小姐
联系电话:0752-3792669、0752-3888258
交易机构:惠州市公共资源交易中心仲恺分中心
联系地址:广东省惠州市仲恺高新区和畅五路人才服务
大厦10楼
联系人:汪鑫 欧阳海棠
联系电话:0752-3278419
注:本公告同时在下列网站及场所发布
惠州市公共资源交易中心网:http://zyjy.huizhou.gov.cn
惠州市公共资源交易中心仲恺分中心网站:http://www.hzzk.gov.cn/gwhbm/hzsggzyjyzxzzfzx/index.html
惠州市公共资源交易中心仲恺分中心服务大厅电子屏幕。
数字证书办理地址:广东省惠州市惠城区三新北路31号市民服务中心3号楼惠州市公共资源交易中心一楼大厅1号土地与矿业交易窗口。
联系人:罗工
联系电话:0752-7121029
惠州仲恺高新区潼侨镇人民政府
惠州仲恺高新区潼侨镇红岗社区移民股份经济合作社
2022年11月6日
附表:
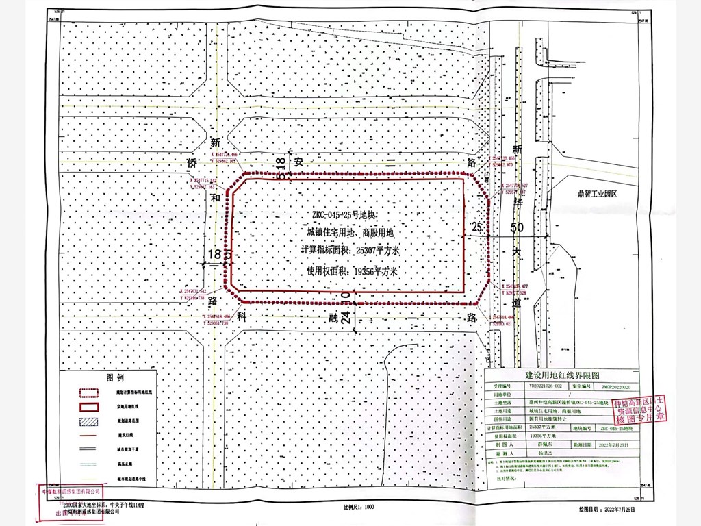
网上挂牌转让地块基本情况及规划建设指标
挂牌地块编号 | 土地位置 | 用地编号 | 土地用途 | 规划指标要求 | 转让 年限(年) | 挂牌 起始价(万元) | 加价 幅度 (万元) | 竞买 保证金 (万元) | 保证金截止时间 |
计算指标用地面积(㎡) | 建 筑 密 度 (%) | 容 积 率 R | 计容积率建筑面积S (㎡) | 绿地率(%) | 机动车停车位配建要求 | 其他 |
惠仲土挂(转)告[2022] 001号 | 惠州仲恺高新区潼侨镇 | ZKC-045-25 | 住宅及商服用地 | 25307 | ≤30 | ≤3.1 | ≤78452 (其中商业建筑面积≤2761㎡) | ≥30 | 按每100㎡计容积率建筑面积≥1个配建 | 其他未明确事宜应按照新的政策、规定等的要求执行 | 住宅 70年 、商服 40年 | 9363 | 200 | 4681 | 2022年12月12日9时 |
惠州仲恺高新区国有建设用地使用权
网上挂牌转让竞买须知
惠仲土挂(转)告[2022]001号
一、国有建设用地使用权网上挂牌转让,是指在惠州市公共资源交易平台发布挂牌转让公告和须知,竞买人通过惠州市公共资源交易中心土地与矿业网上挂牌交易系统(以下简称“网上挂牌交易系统”,网址:https://www.hzgtjy.com/)参与电子挂牌交易的行为。本竞买须知是具备法律约束力的重要文件,竞买人须详细阅读。
二、本宗国有建设用地使用权网上挂牌转让遵循公开、公平、公正和诚实信用原则。
三、中华人民共和国境内外的法人、自然人和其他组织均可申请竞买,可以单独申请,也可以联合申请。
挂牌转让公告对竞买资格有特别要求的,以挂牌转让公告为准。
四、申请人对网上挂牌转让文件有疑问的,可在网上挂牌活动开始前以书面或者口头方式向我中心咨询。有意竞买者可自行踏勘现场(可在网上挂牌交易系统查阅用地红线图)。
五、网上挂牌交易程序
(一)发布网上挂牌信息
有关宗地的电子挂牌交易公告等相关信息通过我中心门户网站、我中心交易大厅的电子显示屏、网上挂牌交易系统等媒介同步发布。有意竞买者可登录网上挂牌交易系统网站查询。
(二)挂牌文件获取
申请人可在网上挂牌交易系统浏览和下载本宗地网上挂牌转让文件,具体包括:
1、惠州仲恺高新区国有建设用地使用权网上挂牌转让公告(以下简称“转让公告”);
2、惠州仲恺高新区国有建设用地使用权网上挂牌转让竞买须知(以下简称“竞买须知”);
3、宗地现状数码相片;
4、国有建设用地红线图及宗地图;
5、《规划设计条件告知书》及关于对ZKC-045-25《规划设计条件告知书》有效性审核情况的说明;
6、《留用地合作开发建设合同书》;
7、其他相关文件。
(三)办理数字证书
1、本宗国有建设用地使用权网上挂牌转让只能在互联网上,通过网上挂牌交易系统进行。只有符合竞买资格并通过网上注册、办理数字证书、按要求足额交付竞买保证金的申请人,才能参加网上挂牌交易活动。
2、办理数字证书是参加本宗地网上挂牌转让活动的必经程序,申请人应当携带相关有效证件到广东省数字证书认证中心惠州办理点(地址:广东省惠州市惠城区三新北路31号市民服务中心3号楼惠州市公共资源交易中心一楼大厅1号土地与矿业交易窗口,电话:0752-7121029)申请办理。
数字证书的办理流程详见网上挂牌交易系统上的《数字证书办理指南》。
(四)申请竞买
办理好数字证书的申请人决定参加本宗地网上挂牌竞买的,应按网上挂牌交易系统要求填写真实有效的申请人身份等信息并在网上挂牌交易系统提交竞买申请。联合竞买的,应当按要求如实填写联合竞买各方的相关信息和出资比例。单笔竞买保证金对应一宗国有建设用地使用权竞买,如需竞买多宗国有建设用地使用权,须分别按时足额交纳竞买保证金。竞买保证金交纳截止时间以挂牌转让公告时间为准。委托人明确可以采用保函、保险等方式提交保证金的,应当满足电子数据文本的实现形式。
(五)交纳竞买保证金并获得竞买报价权限
1、竞买保证金是申请人参加网上挂牌交易活动的资格条件。按规定将竞买保证金汇入指定账户,是参加网上挂牌交易活动的必经程序。
2、竞买人应当提前交纳竞买保证金以确保在到账截止时间前到账,超过到账截止时间的保证金,网上挂牌交易系统将不予受理,造成的损失由竞买人自行承担。
3、跨地区或跨行转账的竞买人,需预足资金的在途时间,以免影响竞买人及时取得竞买报价权限。
4、竞买保证金到账时间以网上挂牌交易系统确认并发出《保证金到账通知书》为准。
5、竞买保证金开户单位:惠州市公共资源交易中心仲恺分中心
竞买保证金账号:网上挂牌交易系统随机产生竞买保证金支付账号。
开户银行:
(1)工商银行仲恺高新区支行;
(2)中国银行惠州仲恺开发区支行;
(3)建设银行惠州开发区支行;
(4)中国农业银行惠州陈江支行;
(5)惠州农村商业银行仲恺支行;
(6)广发银行惠州仲恺科技园支行;
(7)珠海华润银行股份有限公司惠州分行;
(8)上海浦东发展银行股份有限公司惠州分行;
(9)东莞银行惠州仲恺支行。
6、申请人应根据网上挂牌交易系统生成的随机保证金账号按时足额交纳竞买保证金,并在网上挂牌交易系统确认竞买保证金到账之后,赋予竞买人对应宗地的竞买报价权限。
(六)竞买人电子报价及电子限时竞价
1、竞买人通过网上挂牌交易系统进行报价。电子报价和电子限时竞价按以下规则进行:
(1)增价方式进行报价;
(2)竞买人可多次报价;
(3)初次报价不得低于起始价;
(4)每次增价数额应是规定的增价幅度的整数倍;
(5)每次报价应当比当前最高报价至少递增1个增价幅度。
2、竞买人应当谨慎报价,报价一经提交并经网上挂牌交易系统确认为有效报价,不可撤回。
电子挂牌交易期限截止前,竞买人应当进行至少一次有效报价,方有资格参加该宗地的电子限时竞价。
3、电子挂牌交易宗地设有底价的,电子挂牌交易期限截止前半小时,在属地纪委监委和委托人的监督下,由我中心在网上挂牌交易系统输入交易宗地底价。
4、电子限时竞价是指在交易公告规定的电子挂牌交易期限截止时,有2个以上的竞买人报价,且经网上挂牌交易系统询问,5分钟内限时决定是否愿意继续报价,有竞买人愿意继续报价的,网上挂牌交易系统以高于当前最高报价一个增价幅度的价格为起始价,网上挂牌交易系统开始第一次5分钟倒计时限时报价,如在5分钟内的任一时点有新的有效报价,网上挂牌交易系统即从此时点起重新计算5分钟的限时报价时间,供竞买人作新一轮报价,并按此方式不断顺延下去,直至5分钟限时报价时间内没有新的有效报价,网上挂牌交易系统将自动关闭报价通道,确认当前最高报价为最终报价,网上挂牌交易系统即时显示电子挂牌竞价结果。
5、竞买人应当在电子挂牌交易期限截止前登录网上挂牌交易系统,密切关注交易动态。竞买人应当在电子挂牌交易时限截止后5分钟内做出是否参加电子限时竞价的决定并提交网上挂牌交易系统,超过5分钟未提交的,网上挂牌交易系统默认该竞买人参加电子限时竞价活动。
(七)确定成交候选人
电子挂牌交易按照下列规则确定成交候选人:
1、在电子挂牌交易期限内只有1个竞买人报价,且报价不低于底价的,则该报价者为成交候选人;
2、电子挂牌交易期限内有2个以上的竞买人报价,经网上挂牌交易系统询问,无竞买人愿意参加电子限时竞价的,以当前报价最高且报价不低于底价者为成交候选人;
3、电子挂牌交易期限内无报价或报价低于底价的,挂牌不成交;
4、进入电子限时竞价,电子限时竞价中报价最高且报价不低于底价者为成交候选人;
5、电子限时竞价中无竞买人报价的,以电子挂牌交易截止时报价最高且报价不低于底价者为成交候选人。
(八)成交候选人竞买资格审查
电子挂牌交易结束后,电子挂牌竞价结果即时通过网上挂牌交易系统发布。成交候选人应当在电子挂牌竞价结果公布后,按挂牌转让公告及本须知的要求将相关资料提交至惠州仲恺高新区潼侨镇人民政府(以下简称“潼侨镇政府”),由潼侨镇政府进行竞买资格审查。符合竞买资格的,确定成交候选人为竞得人。
不符合竞买资格的,取消成交候选人资格,竞价结果无效。
挂牌转让公告规定竞买资格前置审查的,竞买申请人应按照挂牌转让公告的要求向潼侨镇政府提交竞买申请文件,由潼侨镇政府进行竞买资格审查。
符合竞买资格的,潼侨镇政府应当确认竞买申请人竞买资格并出具竞买资格确认书。竞买申请人取得竞买资格确认书后,方可参与电子挂牌交易活动。电子挂牌交易结束,成交候选人即为竞得人。
(九)公布交易结果
竞买资格前置审查的,交易系统自动公布交易结果;竞买资格后置审查的,潼侨镇政府确定竞得人后,由本中心通过网上挂牌交易系统发布交易结果。
(十)签订成交确认书和交易合同
确定竞得人后,竞得人按挂牌交易公告规定的时间与潼侨镇政府、红岗合作社和本中心签订成交确认书;竞得人须于签订《成交确认书》之日起10个工作日内与潼侨镇政府和红岗合作社签订《合作合同》及《国有建设用地使用权转让合同》(以下简称“《转让合同》”),并与仲恺高新区国土资源分局签订《国有建设用地使用权出让合同》(以下简称“《出让合同》”)
六、系统操作
网上挂牌交易系统竞买人操作视频可在网上挂牌交易系统下载。
七、注意事项
(一)竞买人须详细阅读挂牌转让公告、竞买须知及《惠州市政务服务数据管理局惠州市公共资源交易中心公共资源电子交易规则》,竞买申请一经受理确认后,即视为竞买人对挂牌转让公告、竞买须知、相关交易文件及地块现状无异议并全部接受,对有关承诺承担法律责任。
(二)单独申请竞买的,竞买申请人为非仲恺高新区注册登记的企业竞得土地使用权的,必须在竞得土地后2个月内在仲恺高新区市场监督管理部门注册成立项目开发公司,并以该公司名义办理土地出让与登记发证手续。新成立公司必须是竞得人的全资子公司,即新公司的股东必须100%是竞买申请人。根据挂牌转让结果,竞得人可先与出让人签订出让合同,在竞得人按约定办理完新公司注册登记手续后,新公司再与出让人签订出让合同补充条款;也可按约定直接与新公司签订出让合同。
(三)联合申请竞买的,联合竞买人在提交竞买申请材料时,须提交联合竞买申请书和协议,协议主要规定联合各方的权利和义务、参与竞买的代表人、联合各方的出资比例等。联合竞买申请人竞得土地后,须在竞得土地后2个月内在仲恺高新区市场监督管理部门,按照申请书申报的出资人及出资比例设立新公司。根据挂牌转让结果,竞得人可先与出让人签订《合作合同》和《转让合同》,在竞得人按约定办理完新公司注册登记手续后,新公司再与出让人签订转让合同补充条款;也可按约定直接与新公司签订转让合同,并以新公司名义办理土地登记发证手续,但不能按联合申请人各自出资比例分割办证。如对联合竞买申请人的开发资质条件有明确要求的,在审查联合竞买申请人资质时,以联合体内资质最低一方的资质确定竞买资格条件。
境外成交候选人按照规定提交的有关身份证明及其他相关文件,应按规定由中华人民共和国驻该国、该地区大使馆或领事馆公证或认证;香港成交候选人身份证明及其他相关文件应由中华人民共和国司法部授权的香港律师公证人公证并由中国法律服务(香港)有限公司加盖转递章;澳门成交候选人身份证明及其他相关文件应由中华人民共和国司法部授权的澳门律师公证人公证;台湾成交候选人身份证明及其他相关文件应由台湾公证人公证并存广东省公证协会副本备案。
(四)《竞价结果通知书》对挂牌人和成交候选人具有法律效力,挂牌人改变网上挂牌结果的,或者成交候选人放弃竞得宗地的,应当承担相应法律责任。
竞得人应按挂牌出让公告规定的时间与本中心、潼侨镇政府和红岗合作社签订成交确认书,根据公告规定的时间与潼侨镇政府和红岗合作社签订转让合同,与仲恺高新区国土资源分局签订出让合同,并按合同约定支付成交价款。
(五)本中心受托提供代收代退竞买保证金服务,未竞得人交纳的竞买保证金于电子挂牌交易活动结束之日起5个工作日内原路退还,不计利息。
竞得人交纳的竞买保证金转付成交价款,办理转付成交价款手续应带齐如下相关资料:
1、非税收入缴款通知;
2、银行端查询缴税凭证;
3、保证金到账通知书;
4、交易结果通知书;
5、保证金转账凭证。
(六)为避免网络延迟问题,竞买人首次报价应在网上挂牌截止前10分钟提交,以防止网上挂牌交易系统无法及时接收到报价的情况发生。5分钟倒计时竞价期间,请不要在最后时点报价,以防网络延时造成报价提交不成功。
(七)交易期间的电子交易系统服务器实行封闭管理。发生下列情形之一的,本中心需暂停、中止或终止交易活动,并及时将相关情况报政府有关行政主管部门处理,在公共资源交易平台网上予以公告。潼侨镇政府和红岗合作社待问题排查、清除后,依法重新组织交易活动。
1、电子交易系统受到黑客、病毒恶意攻击的;
2、公共资源交易平台因停电、电子交易系统故障、网络故障、交易软件或数据库错误等因素影响到交易活动不能正常进行的;
3、电子交易系统发现有安全漏洞,有潜在泄密危险,无法保证电子交易信息安全和公平公正交易的;
4、政府有关行政主管部门及司法机关依法要求暂停、中止或终止交易的;
5、委托人书面通知交易中心要求暂停、中止或终止交易的;
6、依法应当暂停、中止或终止交易的其他情形。
(八)网上挂牌成交价即为该宗地的出让总地价款,竞得人除支付成交价款外,还需支付契税、印花税等有关费用。
(九)成交价款于《出让合同》签订之日起30日内一次性付清。付清成交价款及有关税费后,竞得人可申请办理建设用地审批及土地登记发证手续。
(十)网上挂牌不成交的,由潼侨镇政府和红岗合作社重新组织挂牌出让。
(十一)转让公告、竞买须知及相关交易文件需要修改、补充时,将通过原公告发布渠道公告,不作另行通知。
申请人应当及时关注该宗地的网上挂牌交易信息。本中心发出的修改、补充公告,与转让公告、竞买须知及相关交易文件具有同等效力。若与转让公告、竞买须知及相关交易文件有矛盾时,以日期在后者为准。
(十二)本竞买须知及转让公告涉及的时间期限,以网上挂牌交易系统服务器的时间为准。
(十三)本中心对本《须知》有解释权。未尽事宜依照《招标拍卖挂牌出让国有土地使用权规范》办理。
惠州市公共资源交易中心仲恺分中心
2022 年 11月6日